• 扫一扫
    打开 · 手机版

您当前的位置:首页 > 部门频道栏目 > 韶关市自然资源局 > 规划公示 > 批后公告

韶关市红星商务中心项目建设工程规划许可证批后公告

时间:2025-09-22 11:18:36 来源:本网 访问量: -
【打印】 【字体:

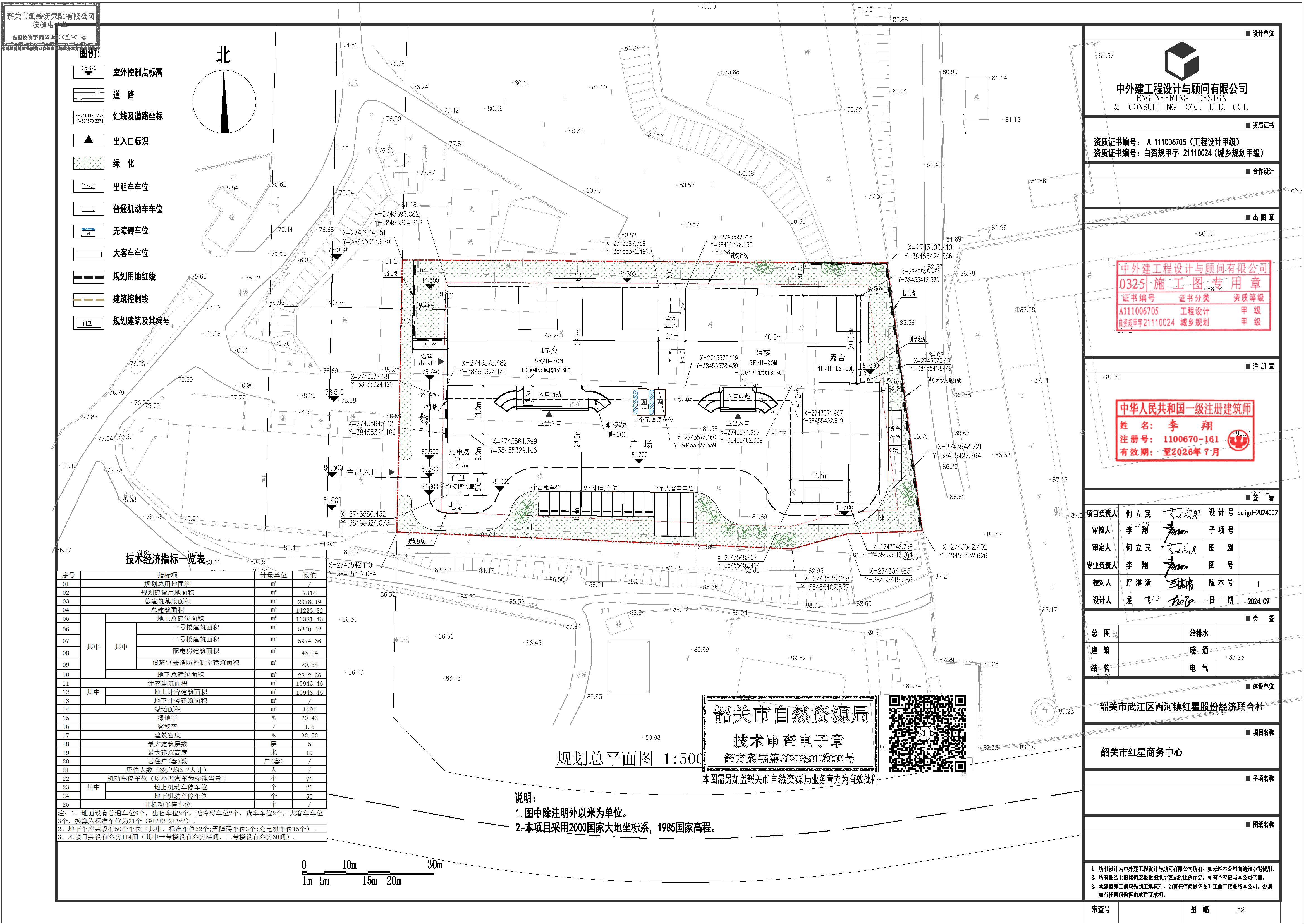
根据省自然资源厅"双随机、一公开"工作要求,我局于2025年9月启用新的建设工程规划许可证批后公告模板,现对2025年1月已批后公告项目,按照新模板进行重新公告,具体如下:制表(项目审定情况)+附图。


韶关市红星商务中心项目建设工程规划许可证批后公告.wps


总平面—韶关市红星商务中心.jpg

相关文件: